Με δύο νέους διαγωνισμούς «ανοίγει» η νέα χρονιά για το Δήμο Πάρου, στο πλαίσιο αναβάθμισης των υποδομών και αξιοποίησης της δημοτικής περιουσίας, στην κατεύθυνση των δεσμεύσεων της δημοτικής αρχής.
Με απόφαση της Οικονομικής Επιτροπής του Δήμου Πάρου, στις 10 και 11 Ιανουαρίου 2022 δημοσιεύτηκαν οι προκηρύξεις δύο διαγωνισμών για την επισκευή δημοτικών κτηρίων του Δήμου, αλλά και την παροχή υπηρεσιών για τη λειτουργία των δημοτικών κοιμητηρίων. Παράλληλα, επαναπροκηρύσσεται – και πάλι με απόφαση της Οικονομικής Επιτροπής – ο διαγωνισμός για την κατασκευή γηπέδων πετοσφαίρισης και καλαθοσφαίρισης στην περιοχή του Κώστου.
Αξιοποίηση της δημοτικής περιουσίας
Έχοντας θέσει ως στόχο της, την αξιοποίηση όσο το δυνατόν περισσότερο, της δημοτικής περιουσίας, η δημοτική αρχή του Δήμου Πάρου, προχώρησε στην προκήρυξη του ανοικτού διαγωνισμού, για την επισκευή δημοτικών κτηρίων.
Ο προϋπολογισμός του έργου αφορά σε 47.282,94 ευρώ (πλέον ΦΠΑ) και χρηματοδοτείται από τον τακτικό προϋπολογισμό του Δήμου Πάρου. Η υποβολή των σχετικών προσφορών θα γίνεται έως και την 1η Φεβρουαρίου 2022, ενώ η αποσφράγιση των προσφορών και η έναρξη της διαδικασίας επιλογής αναδόχου θα γίνει την επομένη, 2 Φεβρουαρίου.
Με το συγκεκριμένο έργο προβλέπονται επισκευές και η ολοκλήρωση του κτηρίου στο Καμάρι, το οποίο αποκτήθηκε ως κληροδότημα από το Δήμο Πάρου, καθώς επίσης επισκευές και στο κτήριο της Δημοτικής Βιβλιοθήκης της Παροικιάς.
Πιο συγκεκριμένα, στο κτήριο του Καμαρίου προβλέπονται οι παρακάτω εργασίες:
- Αποξήλωση των υφιστάμενων πλακιδίων δαπέδου
- Τοποθέτηση υδραυλικών και ηλεκτρολογικών εγκαταστάσεων
- Τοποθέτηση γυψοσανίδων
- Τοποθέτηση τσιμεντοκονίας δαπέδου
- Τοποθέτηση νέων πλακιδίων
- Τοποθέτηση ντουλάπας, ντουλαπιών κουζίνας και πάγκου κουζίνας με τα παρελκόμενά τους
- Τοποθέτηση ηλεκτρικών συσκευών και λαμπτήρων για τις ανάγκες φωτισμού
- Τοποθέτηση κουφωμάτων
- Θερμομόνωση – υγρομόνωση οροφής
- Διαμόρφωση περιβάλλοντος χώρου
- Χρωματισμοί.
Αντιστοίχως, για το κτίριο της Δημοτικής Βιβλιοθήκης στην Παροικιά, μέσω του συγκεκριμένου έργου, προβλέπονται:
- Αποξήλωση κουφωμάτων
- Τοποθέτηση νέων κουφωμάτων
- Συντήρηση εξωτερικού κιγκλιδώματος
- Χρωματισμοί.
Στη σχετική τεχνική έκθεση σημειώνεται πως όλες οι εργασίες θα εκτελεστούν σύμφωνα με τα αναφερόμενα στα τεύχη δημοπράτησης, ενώ παράλληλα, οι εργασίες στο κτήριο της Δημοτικής Βιβλιοθήκης θα εκτελεστούν με τρόπο τέτοιο, ώστε να προκαλέσουν την ελάχιστη δυνατή όχληση κατά τη λειτουργία της.
Επίσης, αναφέρεται, πως ο ανάδοχος έχει την υποχρέωση να εκτελέσει όμοιες εργασίες σε άλλα δημοτικά κτήρια (αντί των προαναφερόμενων) αν τούτο κριθεί σκόπιμο κατά την ημερομηνία υπογραφής σύμβασης εκτέλεσης του έργου.
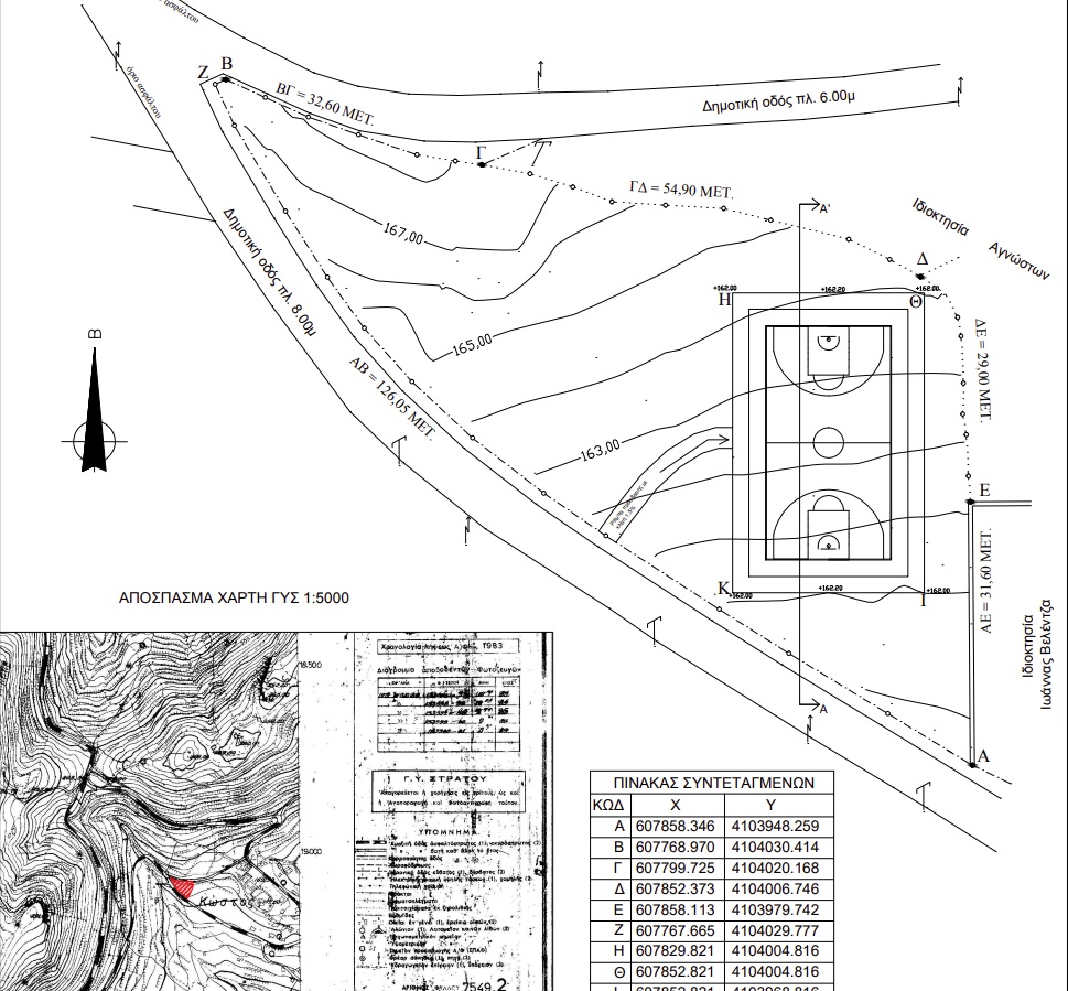
Άλλη μία προσπάθεια για τα γήπεδα της Δ.Κ. Κώστου
Ο διαγωνισμός για το έργο «Κατασκευή γηπέδου πετοσφαίρισης και καλαθοσφαίρισης στον Κώστο Πάρου» είχε δημοσιευτεί στις 8 Μαρτίου του 2021. Η αποσφράγιση των προσφορών έγινε στις 13 Απριλίου 2021, ενώ με απόφαση της Οικονομικής Επιτροπής του Δήμου στις 3 Αυγούστου 2021 εγκρίθηκε το πρακτικό του διαγωνισμού, από το οποίο αναδείχθηκε ο προσωρινός ανάδοχος του έργου. Στις 19 Οκτωβρίου 2021 προσκλήθηκαν οι συμμετέχοντες υποψήφιοι ανάδοχοι να δηλώσουν εντός 10 εργάσιμων ημερών αν επιθυμούν να παραταθεί η διάρκεια ισχύος της προσφοράς τους, καθώς είχαν παρέλθει οι έξι μήνες από την υποβολή, ωστόσο κανένας από τους συμμετέχοντες δεν ανανέωσε.
Ως εκ τούτου, η Οικονομική Επιτροπή του Δήμου Πάρου ενέκρινε τη ματαίωση του ανοικτού διαγωνισμού για την κατασκευή των γηπέδων, αλλά και την επαναπροκήρυξή του, για την επιλογή αναδόχου.
Υπενθυμίζεται, ότι ο προϋπολογισμός του έργου είναι 136.000 ευρώ συμπεριλαμβανομένου ΦΠΑ.
Οι προσφορές θα υποβάλλονται έως και τις 15 Φεβρουαρίου 2022, ενώ η ηλεκτρονική αποσφράγιση των προσφορών θα γίνει στις 16/2/2022.
Με το συγκεκριμένο έργο προβλέπεται να κατασκευαστεί νέο γήπεδο καλαθοσφαίρισης και πετοσφαίρισης σε οικόπεδο του Δήμου Πάρου στην Δ.Κ. Κώστου Πιο συγκεκριμένα προβλέπονται οι παρακάτω εργασίες:
- Γενικές εκσκαφές στο ανατολικό τμήμα του οικοπέδου μέγιστου βάθους 2,00μ.
- Εκσκαφές χανδάκων για τη διέλευση των απαραίτητων σωληνώσεων
- Κατασκευή τοιχείου αντιστήριξης από λιθοδομή στη νότια πλευρά του γηπέδου ύψους περίπου 2 μ., η εξωτερική όψη της οποίας θα αρμολογηθεί.
- Επίχωση με κατάλληλα προϊόντα εκσκαφής στη νότια πλευρά του γηπέδου
- Επίχωση με θραυστό υλικό λατομείου (3Α) πάχους 20 εκ.
- Τοποθέτηση σωληνώσεων περιμετρικά του γηπέδου για μελλοντική διέλευση καλωδίων.
- Κατασκευή υπόβασης οπλισμένου σκυροδέματος πάχους 15 εκ
- Κατασκευή κατάλληλου τάπητα για πετοσφαίριση και καλαθοσφαίριση
- Τοποθέτηση ζεύγους μπασκετών καλαθοσφαίρισης ολυμπιακού τύπου, οι οποίες θα συμπεριλαμβάνουν και στεφάνι με ελατήριο.
- Τοποθέτηση προσθαφαιρούμενων ορθοστατών πετοσφαίρισης
- Γραμμογράφηση του γηπέδου.
- Κατασκευή περίφραξης από συρματόπλεγμα ύψους 4,00 μέτρων.
- Κατασκευή ράμπας πρόσβασης στο νέο γήπεδο με κατάλληλη κλίση για πρόσβαση από άτομα ΑΜΕΑ.